Address available on request,
Riverview, QLD 4303
Shops & Retail • Offices • Medical & Consulting
Key property information
Land area
Floor area
Leased on
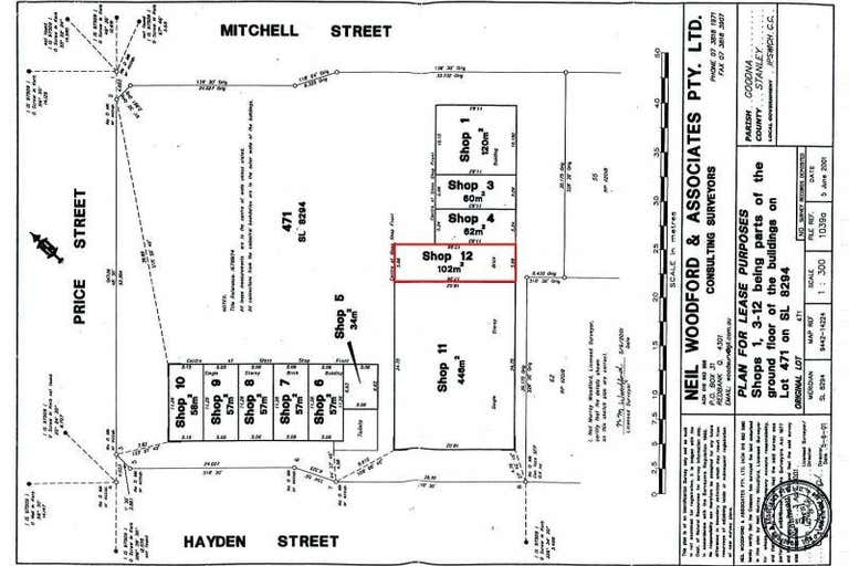
Map
Strip Shop Site
~ 102*m2 Site
~ Strip Shop location
~ Currently office fitout
~ Exclusive facilities
~ Excellent parking onsite
Servicing the Riverview community these offices currently have an ex-Government fit out with a separate front foyer/reception and lead through to secure offices. This fit out can be removed if not needed/wanted by
the next tenant. Neat and tidy site with kitchenette and own exclusive staff amenities.
Part of the local neighbourhood shopping complex, others in complex include a general practitioner, pharmacy, post office, convenience store, hairdresser etc. This complex has an abundance of well placed parking. Suitable for either office or retail.
$25,500*PA Gross (Incl GST & OGs) = $2,125* Gross per Month
* Approximately
Property Code: 647
~ Strip Shop location
~ Currently office fitout
~ Exclusive facilities
~ Excellent parking onsite
Servicing the Riverview community these offices currently have an ex-Government fit out with a separate front foyer/reception and lead through to secure offices. This fit out can be removed if not needed/wanted by
the next tenant. Neat and tidy site with kitchenette and own exclusive staff amenities.
Part of the local neighbourhood shopping complex, others in complex include a general practitioner, pharmacy, post office, convenience store, hairdresser etc. This complex has an abundance of well placed parking. Suitable for either office or retail.
$25,500*PA Gross (Incl GST & OGs) = $2,125* Gross per Month
* Approximately
Property Code: 647
Riverview, 4303 demographic data
The median household income for Riverview is $1,097, 41% lower than Greater Brisbane's household income of $1,849. Riverview has an older age profile compared to the rest of Greater Brisbane (median age 37 vs 36). Property ownership data shows 52% of property owners in Riverview have a mortgage.
3,067
Population
$1,097 per week
Median household income
37 years
Median age
Renters
Most residents
Families
Most households
07 3202 38...
Address available on request
Riverview, QLD 4303
Switch Realty - Ipswich83 Brisbane Road
NEWTOWN, QLD 4305
NEWTOWN, QLD 4305
Contact Agency
Similar properties
Other properties you might be interested in based on the location and property type you are looking at.


Contact Agent
Highway Service Centre, 219 Westphalen Drive,Riverview, QLD 4303 75 m²Shops & Retail • Medical & Consulting • Offices


Contact Agent
Shop 8, 28 Mitchell Street,Riverview, QLD 4303 57 m²Shops & Retail • Offices • Medical & Consulting


Contact Agent
12/28 Mitchell Street,Riverview, QLD 4303 102 m²Shops & Retail • Offices • Medical & Consulting